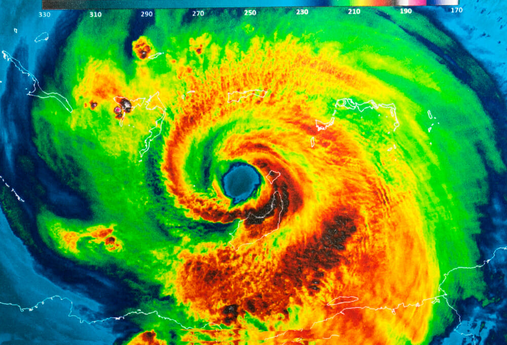
The Ultimate Guide to the Atlantic Hurricane Season

Stay safe and informed with our Ultimate Guide to the Atlantic Hurricane Season. Learn about predictions, preparation tips, and recovery support.
An Essential Guide to Current Hurricane Status in Florida

Is there a hurricane coming to Florida right now? Get the latest updates, preparedness tips, and historical insights on Florida’s hurricane season.
From Category 1 to 5: Decoding the Hurricane Wind Scale

Learn about hurricane categories, wind speeds, and potential damage with our guide to the Saffir-Simpson Hurricane Wind Scale.
The Difference Between Hurricanes and Tropical Storms Explained

Learn the key differences between hurricanes and tropical storms. Understand their formation, impact, and how to stay prepared.
Florida’s Hurricane Season: Dates, Risks, and Preparedness Tips

Prepare for hurricane Florida with dates, risks like storm surge and tornadoes, and essential tips on disaster kits, evacuation plans, and insurance.
5 Common Questions About Texas Fires Answered

Explore key insights on the causes, impact, and management of fires in Texas, with expert tips on property protection and insurance claims.
The Aftermath of Apartment Fires: Safety Tips and Recovery Steps

Learn how to handle an apartment fire with safety tips, immediate actions, and recovery steps. Essential reading for tenants!
How to Identify and Address Hail Damage on Your Flat Roof

Learn how to identify and address hail damage on a flat roof, with expert tips on repairs and insurance claims.
A Comprehensive Guide to Assessing Hail Damage on Your Roof

Discover how to assess hail damage roof with our guide. Tips on identifying damage, insurance claims, and prevention for Texas homeowners.
The Ultimate Guide to Texas Hail Patterns and Safety Tips

Discover essential safety tips and understand Texas hail patterns. Protect your property and maximize insurance with our comprehensive guide.